Request a Showing

    Description

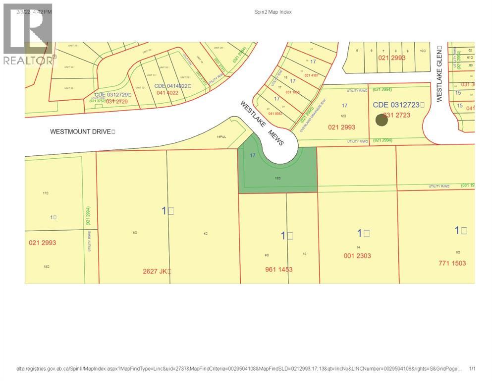
    ATTN: Investors, Developers, Business Owners — Build your dream HERE! Located across from the lake just off of the #1 highway, this parcel of land is a commodity. Centrally located within the choice community of Westlake, this 1/2+ acre is zoned for Highway Commercial with the opportunity to rezone to Multifamily R3, Commercial, or Commercial/Residential mix. A cul-de-sac property, development options include senior housing, dealership, warehouse, mini-storage, brewery, gas station, restaurant, retail, garage, car wash, medical clinic, or professional center. Call today to discuss all options! Note: original owner, 3+ stories. Subject to Town of Strathmore Development Permit. (id:58070)

    Property Features

    • MLS® Number A2279750
    • Price $500,000
    • Community Name: Westmount_Strathmore
    • Amenities Near By Golf Course, Park, Playground, Schools, Shopping
    • Community Features Golf Course Development
    • Features See Remarks, Level
    • Plan 0212993

    Buildings

    Age Age Is Unknown Utility Water Municipal Water

    Land

    Acreage No Fence Type Not Fenced
    Land Amenities Golf Course, Park, Playground, Schools, Shopping Size Irregular 2302.70
    Size Total 2302.7 M2|21,780 - 32,669 Sqft (1/2 - 3/4 Ac) Size Total Text 2302.7 M2|21,780 - 32,669 Sqft (1/2 - 3/4 Ac)
    Zoning Description Chwy
    Address
    Scroll to Top